Brownhill, Ovens
Brownhill, Ovens, Co. Cork P31 DX77
Description
c.44 Acre Residential Farm – Available in 1 or 3 Lots
Most attractive Residential Farm sale located only 10 mins drive from Ballincollig.
Featuring good quality arable lands, currently in a mix of Pasture and Tillage, along with a detached farmhouse and a selection of farm buildings.
The lands, available in up to 3 lots, each have excellent frontage with access on to adjoining public tarred roads.
The residence extends to c.1,200sqft and whilst solid in structure, would benefit from modernisation and upgrading.
Accommodation features a kitchen, living room, sitting room and store room on the ground floor and with 4 bedrooms and a bathroom overhead.
The farm buildings are in reasonably good condition and centered around the yard which formally operated as a dairy farm set-up.
Buildings include a machinery shed, stables, milking parlour, cubicle houses, hay barn and ancillary storage units.
The lands are of excellent quality being free draining and with no waste.
Lot A – The Entire Farm on c.44 Acres
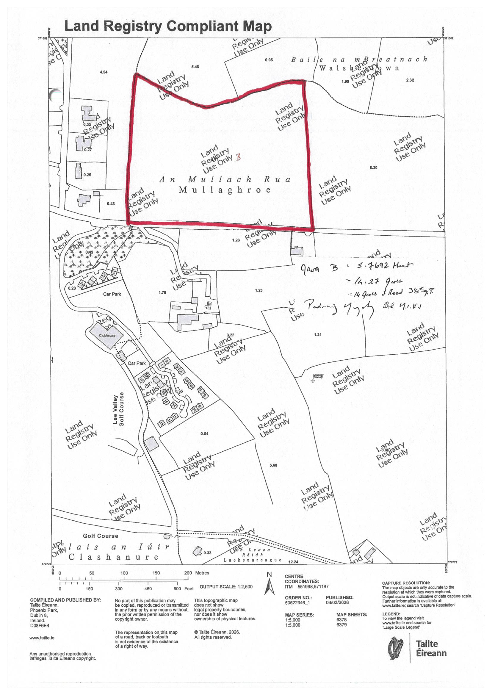
Lot B – c.14.25 Acres
Lot C – c.11.5 Acres with House & Buildings
Lot D – c.17.5 Acres
Most attractive Residential Farm sale located only 10 mins drive from Ballincollig.
Featuring good quality arable lands, currently in a mix of Pasture and Tillage, along with a detached farmhouse and a selection of farm buildings.
The lands, available in up to 3 lots, each have excellent frontage with access on to adjoining public tarred roads.
The residence extends to c.1,200sqft and whilst solid in structure, would benefit from modernisation and upgrading.
Accommodation features a kitchen, living room, sitting room and store room on the ground floor and with 4 bedrooms and a bathroom overhead.
The farm buildings are in reasonably good condition and centered around the yard which formally operated as a dairy farm set-up.
Buildings include a machinery shed, stables, milking parlour, cubicle houses, hay barn and ancillary storage units.
The lands are of excellent quality being free draining and with no waste.
Lot A – The Entire Farm on c.44 Acres
Lot B – c.14.25 Acres
Lot C – c.11.5 Acres with House & Buildings
Lot D – c.17.5 Acres

































